

Zu Kaufen
Traumgrundstück in Baden-Baden Oos – 2.519 m² Panorama-Lage
76532,
Baden-Baden
Beschreibung
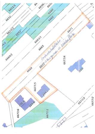
In erhöhter Lage von Baden-Baden Oos erwartet Sie dieses attraktive Baugrundstück mit 2.519 m² Gesamtfläche und einem unvergleichlichen Weitblick. Davon sind ca. 754 m² als Bauland ausgewiesen, die restliche Fläche ist landwirtschaftlich nutzbar – ideal für großzügige Gartenanlagen, Freizeitgestaltung oder naturnahe Nutzung.
Aktuell befindet sich auf dem Grundstück ein Abrissobjekt, das demnächst zurückgebaut wird. Das Grundstück wird anschließend unbebaut übergeben und bietet damit eine hervorragende Grundlage für die Realisierung Ihres individuellen Bauvorhabens.
Die vollständige Erschließung (Wasser, Strom, Abwasser, Gas) ist gewährleistet. Der Zugang erfolgt bequem über eine Privatstraße mit eingetragenem Wegerecht oder fußläufig über öffentliche Treppen. Die erhöhte Lage sorgt für Ruhe, Privatsphäre und einen weiten Panoramablick über die Umgebung.
Die Lagevorteile sprechen für sich: Einkaufsmöglichkeiten für den täglichen Bedarf befinden sich in unmittelbarer Nähe, die Innenstadt von Baden-Baden ist schnell erreichbar, ebenso wie die Autobahn A5. Der Bahnhof liegt ebenfalls nur wenige Minuten entfernt und garantiert eine optimale Anbindung.
Dieses Grundstück vereint zentrale Lage, Naturnähe und hervorragende Erreichbarkeit – eine seltene Gelegenheit für Bauherren und Investoren.
Mehr Informationen
- Grundstücksfläche: 2519m²
- Nutzungsart: Wohnen
Preise & Kosten
- Provision: Käuferprovision beträgt 3,57 % (inkl. MwSt.) des beurkundeten Kaufpreises.
- Kaufpreis: 420000€
- Preis/m²: 166.73€

- Makler:
- Dennis Bartels
- E-Mail:
- Telefon: